Hala industriala Timisoara,1100 mp,E xterior NORD

750.000 €
681.82 € / mp

Aradului, Timişoara

Nr. niveluri:
1

Descriere spațiu comercial

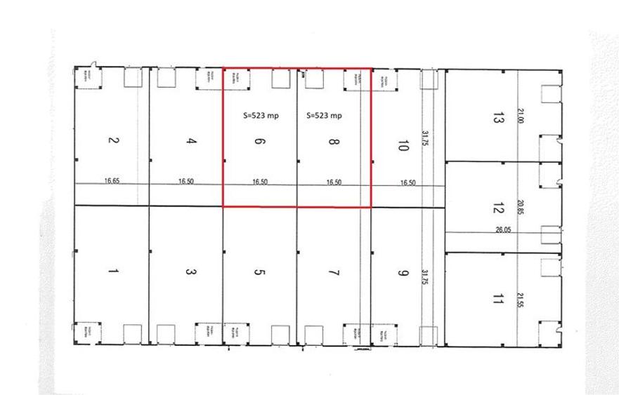
LANDMARK propune spre vânzare hala industriala amplasata într-un complex modern de hale, situat în zona Calea Aradului - Exterior Nord, cu acces facil la Centura Timișoarei și Autostrada A1. Construcția este nouă, realizată din plăci prefabricate din beton la exterior si pereti separatori din panouri sandwich pe interior, cu rezistenta la foc. Hala este compusa din doua unitati lipite avand o suprafata utila la sol de 523 mp care pot sa comunice intre ele in caz de nevoie. Fiecare unitate include o hală destinată producției sau depozitării cu CF separat, având o înălțime liberă sub grindă de 6,5 m, și o zonă de birouri desfășurată pe Parter + Mezanin, in suprafață utila desfasurata de 60 mp. Spațiile beneficiază de facilități esențiale, cum ar fi: Acces pentru TIR, drumuri de incinta betonate pt trafic greu si iluminat public Supraveghere video pe exterior Uși de tip Drive-In (dimensiuni 4x4,5 m) Iluminat natural , cu 2 trape electrice pe fiecare unitate Racorduri pentru apă, canalizare, gaze și curent electric. Prețul de vânzare pentru cele doua unitati este de 750.000 euro + TVA ( sau taxare inversa cu TVA 0) Pretabil si ca investitie imobiliara, cu un potential de randament estimat de 7 % an. Disponibil imediat ID intern 210560
Citește mai mult Citește mai puțin

Detalii spațiu comercial

ID anunț: 261524 Actualizat în: 13 Februarie 2026
Suprafață utilă: 1.100 mp
Suprafață utilă totală: 1.100 mp
An construcție: 2024
Regim înălțime: P+1E
Nr. niveluri: 1

Istoric preț

Proprietăți similare

Hotel/Pensiune, de 550 mp, în Girocului
750.000 €
Timișoara, Girocului
550 mp utili
2010
Spațiu comercial, de 580 mp, în Iosefin
755.000 €
Timișoara, Iosefin
580 mp utili
Spațiu comercial, de 234 mp, în Circumvalațiunii
708.000 €
Timișoara, Circumvalațiunii
234 mp utili
9E
2025
Spațiu comercial, de 200 mp, în Cetății
700.000 €
Timișoara, Cetății
200 mp utili
2025
Spațiu comercial, de 630 mp, în Mircea cel Bătrân
750.000 €
Timișoara, Mircea cel Bătrân
630 mp utili
1E
Spațiu comercial, de 240 mp, în Circumvalațiunii
720.000 €
Timișoara, Circumvalațiunii
240 mp utili
9E
2024
Spațiu comercial, de 280 mp, în Girocului
680.000 €
Timișoara, Girocului
280 mp utili
Spațiu comercial, de 240 mp, în Circumvalațiunii
720.000 €
Timișoara, Circumvalațiunii
240 mp utili
9E
Spațiu comercial, de 660 mp, în Mehala
799.000 €
Timișoara, Mehala
660 mp utili

Abonează-te la newsletter să fii primul care primește cele mai noi recomandări de proprietăți și sfaturi de la experți.