Hale de inchiriat Intertrans. Comision Zero!!

437 € / lună
2.50 € / mp / lună

Nord, Galaţi

Descriere spațiu comercial

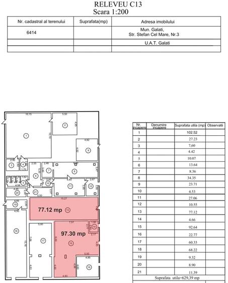
Spatiu industrial situat in zona de nord – str. Stefan cel Mare 3 cu acces facil catre centura. Suprafete disponibile: 77.12/97.30/23.66/18.81/17.94/22.60 mp. Suprafata teren – 33.135 mp Sistem de supraveghere, electricitate 380 v, gaz, apa curenta, canalizare, acces TIR. Suprafata poate fi majorata prin alaturarea imobilului vecin cu suprafata teren de 22.119 mp, dispunand astfel de o suprafata de teren de 5.50 ha.
Citește mai mult Citește mai puțin
Apă Gaz

Detalii spațiu comercial

ID anunț: 84408 Actualizat în: 12 Ianuarie 2026
Suprafață utilă: 175 mp
Suprafață utilă totală: 175 mp
An construcție: 1970
Suprafață teren: 33.135 mp

Istoric preț

Facilități

Utilități
Apă Gaze Canalizare

Puncte de interes

Mijloace transport
transport
UM 1244
Mijloace transport aprox. 134 m
transport
Cimitir israelit
Mijloace transport aprox. 377 m
transport
Strada Vanatori
Mijloace transport aprox. 435 m
transport
Depoul nr. 2
Mijloace transport aprox. 659 m
Școală
education
Scoala Generala nr. 34 Mihai Viteazul
Învățământ aprox. 847 m
education
Gradinita Nicolae Labis
Învățământ aprox. 987 m
education
Scoala Generala nr. 33 Sf. Dumitru
Învățământ aprox. 1134 m
education
Gradinita Mugurel
Învățământ aprox. 1141 m
Recreere
parks
Parc
Recreere aprox. 792 m
restaurants
Viva Club
Restaurante aprox. 929 m
shopping
Kaufland 2
Supermarket/Mall aprox. 1377 m
shopping
Supeco
Supermarket/Mall aprox. 1575 m

Proprietăți similare

Spațiu comercial, de 60 mp, în Central
450 € / lună
Galați, Central
60 mp utili
Spațiu comercial, de 40 mp, în Central
450 € / lună
Galați, Central
40 mp utili
Spațiu comercial, de 50 mp, în Mazepa 1
400 € / lună
Galați, Mazepa 1
50 mp utili
Spațiu comercial, 50 mp în Mazepa 1
400 € / lună
Galați, Mazepa 1
2000
Spațiu comercial, de 40 mp, în Central
400 € / lună
Galați, Central
40 mp utili
Spațiu comercial, de 110 mp, în Tecuci
400 € / lună
Județul Galați, Tecuci
110 mp utili
310 mp teren

Abonează-te la newsletter să fii primul care primește cele mai noi recomandări de proprietăți și sfaturi de la experți.