Proprietate industria premium -17.380 mp teren -deschidere 120 ml

235.000 €
427.27 € / mp

Tătaru, Judeţul Vrancea

Suprafață utilă totală:
550 mp
Suprafață teren:
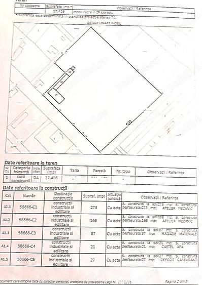
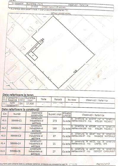
17.380 mp

Descriere spațiu comercial

Va prezentam spre vanzare in exclusivitate Comision 0% pentru cumparator , o proprietate industrial-comerciala rara pe pia?a, cu poten?ial major de dezvoltare pe termen lung , situata in Ramniceni ( com. Maicanesti ,Jud. Vrancea)! Cu un teren generos ?i o construc?ie solida existenta, aceasta proprietate reprezinta o oportunitate reala pentru investitori, antreprenori sau companii care doresc sa dezvolte un hub logistic, spa?iu comercial sau platforma industriala. Proprietatea dispune de construc?ie existenta de 550 mp ,hala + anexe, pe o structura din beton armat cu stalpi de rezisten?a , pere?i exteriori din caramida, acoperis refacut in totalitate, construc?ie durabila, u?or de adaptat pentru multiple activita?i. Suprafata de teren de 17.380 mp constituie unul dintre cele mai mari avantaje ale proprieta?ii care ofera libertate totala de dezvoltare. Deschiderea generoasa de 120 metri directa la asfalt ofera multiple avantaje acces facil pentru autoturisme ?i TIR, spa?iu amplu pentru platforme logistice sau parcari, posibilitate construire hale suplimentare, ideal pentru dezvoltare etapizata sau parcelare. Aceasta configura?ie ofera vizibilitate excelenta ?i acces logistic optim avand in vedere accesul rapid la viitorul drum Expres Focsani - Braila (la doar 2 Km distanta) Proprietatea dispune de curent trifazic 380V, apa, canalizare, fiind ideala pentru : - depozit sau hub logistic regional - supermarket retail (franciza tip La Doi Pa?i) - produc?ie u?oara atelier manufactura - clinica medicala sau centru servicii - showroom + depozit - sala sport centru recreativ - parc industrial Aceasta proprietate nu este doar un spa?iu este o oportunitate de dezvoltare pentru urmatorii 10 20 de ani !!! Pentru mai multe detalii ?i vizionari, nu ezita?i sa ne contacta?i. Agentia imobiliara HOUSE AVANTAJ Focsani, va sta la dispozitie pentru intermedieri vanzari , inchirieri , certificate energetice, carti funciare , evaluari imobile , etc. ID anun? : 1772705628
Citește mai mult Citește mai puțin

Detalii spațiu comercial

ID anunț: 3733871 Actualizat în: 06 Martie 2026
Suprafață utilă: 550 mp
Suprafață utilă totală: 550 mp

Istoric preț

Proprietăți similare

Spațiu comercial, de 17,380 mp, în Stupina
235.000 €
Județul Vrancea, Stupina
17.380 mp utili
Spațiu industrial, de 1,400 mp, în Nord-Est
240.000 €
Județul Vrancea, Odobești
1.400 mp utili
2005
Spațiu industrial, de 300 mp, în Obor
220.000 €
Focșani, Obor
300 mp utili
1960
Spațiu comercial, de 160 mp, în Unirea
220.000 €
Județul Vrancea, Unirea
160 mp utili
1E
1995
Spațiu industrial, de 558 mp, în Sud
250.000 €
Focșani, Sud
558 mp utili
1980
Spațiu industrial, în Măicănești
235.000 €
Județul Vrancea, Măicănești
1978
Spațiu comercial, de 900 mp, în Tănăsoaia
245.000 €
Județul Vrancea, Tănăsoaia
900 mp utili
1975
Spațiu comercial, de 800 mp, în Est
215.000 €
Focșani, Est
800 mp utili
1E
1998
Spațiu comercial, de 800 mp, în Vânători
215.000 €
Județul Vrancea, Vânători
800 mp utili
4.300 mp teren

Abonează-te la newsletter să fii primul care primește cele mai noi recomandări de proprietăți și sfaturi de la experți.