Oportunitate de investitie premium Cladire multifunctionala in zona

275.000 €
323.53 € / mp

Trocadero, Constanţa

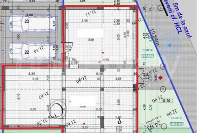
Suprafață utilă totală:
850 mp
Nr. niveluri:
2

Descriere spațiu comercial

Oportunitate Unica la doar 30 minute de Constanta! Va propunem spre vanzare o proprietate deosebita,situate in Ciocarlia de sus cu access la autostrada A2,la doar 30 de minute de statiunile Mamaia,Eforie Nord, Techirghiol. Aceasta Este alegerea ideala pentru cei care doresc sa investeasca intr-o afacere agroturistica sau pur si simplu sa se bucure de un stil de viata aproape de natura,zona linistita,aer curat. Casa rip S+P+M compusa din: Crama suprafata utila 26,4 mp Partner:3 dormitoare,3 bai, bucatarie,sufragerie,hol,terasa,suprafata 137,9 mp. Mansarda cu scara exterioara: 3 dormitoare,3 bai,bucatarie,sufragerie,terasa,suprafata totala 155,8 mp. Foisor + toaleta in curte Anexa care poate fi locuinta,spatiu depozitare,magazine etc ,suprafata 64,7mp Suprafata total construita 451,7 mp Suprafata teren 1994 mp. Dotari suplimentare si facilitati: Retea electrica trifazica (380v) Put de apa+ retea Livada cu pomi fructiferi Ideala pentru: Investitie agroturistica sau centru procesare produse locale,locuinta permanenta pentru cei care doresc liniste si natura fara a fi departe de oras access facil si utilitati complete tot ce ai nevoie pentru a incepe activitatea sau pentru a te muta. Pentru mai multe detalii sunati la .
Citește mai mult Citește mai puțin

Detalii spațiu comercial

ID anunț: 3889898 Actualizat în: 26 Martie 2026
Suprafață utilă: 850 mp
Suprafață utilă totală: 850 mp
Regim înălțime: P+2E

Istoric preț

Proprietăți similare

Spațiu comercial, de 125 mp, în Tomis Nord
250.000 €
Constanța, Tomis Nord
125 mp utili
2E
2015
Spațiu industrial, de 487.95001220703 mp, în Zona Industrială
300.000 €
Constanța, Zona Industrială
487,95 mp utili
1E
Spațiu comercial, de 93.5 mp, în Tomis Plus
290.000 €
Constanța, Tomis Plus
93,5 mp utili
224 mp teren
3E
Spațiu comercial, de 93.5 mp, în Palazu Mare
300.000 €
Constanța, Palazu Mare
93,5 mp utili
2026
Spațiu comercial, de 360 mp, în Coiciu
300.000 €
Constanța, Coiciu
360 mp utili
1E
Spațiu comercial, 80 mp în Gara
260.000 €
Constanța, Gara
80 mp utili
80 mp teren
1980
Spațiu comercial, de 208 mp, în Tomis Plus
298.000 €
Constanța, Tomis Plus
208 mp utili
5E
2015
Spațiu comercial, de 133 mp, în Central
299.000 €
Constanța, Central
133 mp utili
8E
Spațiu comercial, de 116 mp, în Inel II
250.000 €
Constanța, Inel II
116 mp utili
2011

Abonează-te la newsletter să fii primul care primește cele mai noi recomandări de proprietăți și sfaturi de la experți.