
Mai mult de un an
2
- Proprietar
- Comision 0%
Teren de inchiriat in zona Theodor Pallady. 2600m
1 €
/ lună
Theodor Pallady, București
Descriere
Raportează anunț
Sesizează o problemă
Teren de inchiriat in zona Theodor Pallady. 2600m
Teren de inchiriat in zona Theodor Pallady. 2600m
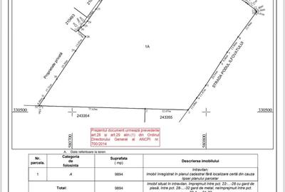
Teren de inchiriat in zona Theodor Pallady Suprafata totala 2600mp, avand o deschidere de 57 m la strada Gura Garlitei (asfaltata). Pretul pe luna este de 1,5euro mp. pentru spalatorie auto , magazin . depozitare (container)etc 1,5 euro ID anun?
Citește mai mult
Citește mai puțin
ID anunț: 608372
Actualizat în: 22 Octombrie 2025
Istoric preț
Proprietăți similare
Abonează-te la newsletter să fii primul care primește cele mai noi recomandări de proprietăți și sfaturi de la experți.
Căutări similare
- Spații comerciale de închiriat în Theodor Pallady
- Spații comerciale de închiriat în Sector 3
- Spații comerciale de închiriat în Unirii
- Spații comerciale de închiriat în Titan
- Spații comerciale de închiriat în Vitan
- Spații comerciale de închiriat în Mihai Bravu
- Spații comerciale de închiriat în P-ța Unirii
- Spații comerciale de închiriat în Basarabia
- Spații comerciale de închiriat în Splaiul Unirii
- Spații comerciale de închiriat în Dristor
- Spații comerciale de închiriat în Industriilor
- Spații comerciale de închiriat în 23 August (Cațelul)