2 luni în urmă
13
- Agenție
Vanzare teren intravilan Cernica_Tanganu, lot 954mp
22.000 €
/ lună
23.06 €
/ mp
/ lună
Fundeni, Judeţul Călăraşi
Descriere spațiu comercial
Sesizează o problemă
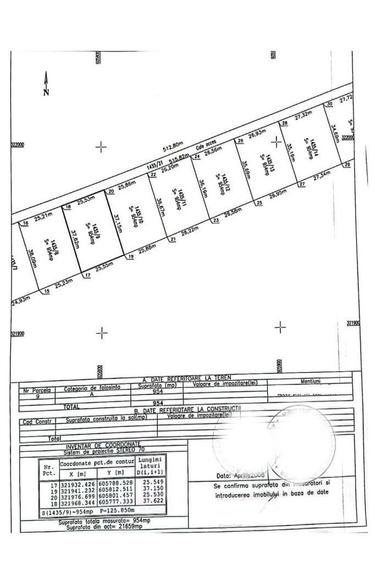
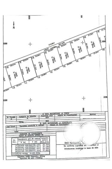
Cernica_sat Tanganu,la granita cu Fundeni-Frunzaresti, in apropiere Raul Dambovita, teren intravilan, la 50m de statia de autobuz R451 cu capat de linie la Metrou Republica Bucuresti si statie feroviara Halta Tanganu cu ruta Oltenita-Bucuresti Titan Sud (care, de asemenea, se afla langa statia de metrou Republica). Poate fi achizitionat si integral sau mai multe loturi. Terenul are o suprafata totala masurata 21.664mp, parcelat in 20 loturi, din care 19 loturi cu suprafata de 954mp, fiecare, 1 lot 966mp, iar 2.572mp au fost atribuiti pentru drumul de acces. Deschiderile la calea de acces sunt cuprinse intre min. 22ml-max. 29ml pe o lungime a terenurilor cuprinse intre min 32ml-max.41.5ml. Comision agentie 1000 Euro.
Citește mai mult
Citește mai puțin
Zonă rurală
ID anunț: 3162571
Actualizat în: 02 Aprilie 2026
Istoric preț
Proprietăți similare
Abonează-te la newsletter să fii primul care primește cele mai noi recomandări de proprietăți și sfaturi de la experți.
Căutări similare
- Spații comerciale de închiriat în Fundeni
- Spații comerciale de închiriat în Călărași
- Spații comerciale de închiriat în Frumușani
- Spații comerciale de închiriat în Postăvari
- Spații comerciale de închiriat în Pasărea
- Spații comerciale de închiriat în Fundulea
- Spații comerciale de închiriat în Oltenița
- Spații comerciale de închiriat în Budești
- Spații comerciale de închiriat în Dor Mărunt
- Spații comerciale de închiriat în Mitreni
- Spații comerciale de închiriat în Vasilați
- Spații comerciale de închiriat în Ceacu