Vilă Tip Duplex P+1+M - Comision 0% - Grand Arena - Metalurigiei

165.000 €

Metalurgiei, Bucureşti

Nr. camere:
4
Suprafață utilă:
97 mp
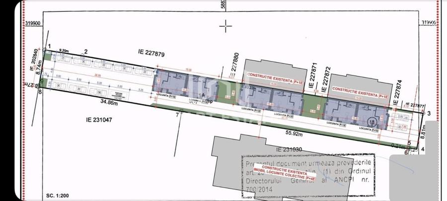
Suprafață teren:
100 mp
Nr. niveluri:
2

Descriere casă

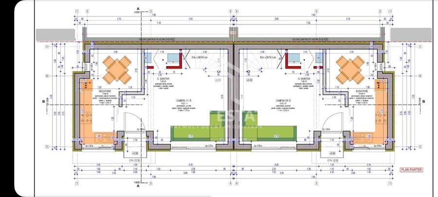
SMART ESTATES vă invită să descoperiți un proiect nou: Vilă modernă P+1+Pod locuibil, în zona Lidl Metalurgiei. Această vilă duplex face parte dintr-un proiect rezidențial exclusivist, compus din 6 unități, amplasat pe un teren de 836 mp cu acces privat. Proprietatea este în construcție, oferind posibilitatea de personalizare în această etapă. Detalii proprietate: - Suprafață utilă: 97 mp - Compartimentare: 4 camere, incluzând un pod locuibil de 34 mp (din care 19 mp utilizabili la o înălțime de 1.80 m). - Curte proprie: 15 mp - Finisaje: Premium, incluzând încălzire în pardoseală. - Construcție: Zidărie din cărămidă cu pereți individuali. Preț proprietate: 165.000 EURO Comision: 0% Avantaje suplimentare: - Posibilitate de amenajare acces la pod printr-o scară normală. - Proiect bine gândit, cu 13 locuri de parcare pentru rezidenți. - Locație excelentă, cu acces rapid la bulevard și facilități. Aceasta este oportunitatea ideală pentru a vă muta într-o casă modernă, într-o zonă liniștită și bine conectată!
Citește mai mult Citește mai puțin
Mobilat Centrală proprie Bine întreținut (Bună)

Detalii casă

ID anunț: 51343 Actualizat în: 25 Martie 2026
Nr. camere: 4
Suprafață utilă: 97 mp
Suprafață utilă totală: 97 mp
Nr. băi: 1
Suprafață teren: 100 mp
An construcție: 2025
Regim înălțime: P+2E

Istoric preț

Facilități

Pereți
Vopsea lavabilă Faianță
Podele
Parchet
Ușă intrare
Parchet PVC Metal
Uși interior
PVC Celulare
Stare interior
Stare bună
Ferestre cu geam termopan
PVC
Contorizare
Apometre Contor căldură Contor gaz
Bucătărie
Mobilată Utilată
Mobilat
Mobilat
Utilități
Curent Apă Canalizare Gaze
Sistem încălzire
Centrală proprie
Amenajare străzi
Asfaltate

Puncte de interes

Mijloace transport
transport
Statia Bd. Constantin Brancoveanu / Dorohoi, linia 141, 220, 202
Mijloace transport aprox. 266 m
transport
Statia Covasna / Turnu Magurele, linia 141,116
Mijloace transport aprox. 387 m
transport
Statia CET Progresul, linia 216
Mijloace transport aprox. 530 m
transport
Statia Izvorul Oltului, linia 220, 216, 202, 116
Mijloace transport aprox. 581 m
Școală
education
Gradinita nr. 149
Învățământ aprox. 427 m
education
Gradinita 167
Învățământ aprox. 663 m
education
Gradinita
Învățământ aprox. 674 m
education
ŞCOALA CU CLASELE I-VIII NR. 130
Învățământ aprox. 912 m
Recreere
shopping
Lidl
Supermarket/Mall aprox. 219 m
shopping
Selgros
Supermarket/Mall aprox. 251 m
parks
Parculet Elefant
Recreere aprox. 309 m
restaurants
restaurant La Sediu
Restaurante aprox. 368 m

Proprietăți similare

Casă individuală cu 4 camere cu Teren 500 Mp în Berceni
165.000 €
București, Berceni
4 camere
110 mp
500 mp teren
Casă individuală cu 4 camere cu Teren 411 Mp în Berceni
160.000 €
București, Berceni
4 camere
100 mp
411 mp teren
Casă individuală cu 3 camere cu Canalizare în Giurgiului
150.000 €
București, Giurgiului
3 camere
75 mp
300 mp teren
Casă individuală cu 4 camere cu Teren 320 Mp în Berceni
175.000 €
București, Berceni
4 camere
125 mp
320 mp teren
Casă individuală cu 5 camere cu Teren 420 Mp în Berceni
165.000 €
București, Berceni
5 camere
133 mp
420 mp teren
Casă individuală cu 4 camere cu Teren 380 Mp în Berceni
154.500 €
București, Berceni
4 camere
125 mp
380 mp teren
Casă individuală cu 4 camere cu Teren 360 Mp în Berceni
155.000 €
București, Berceni
4 camere
126 mp
360 mp teren
Casă individuală cu 4 camere cu Teren 338 Mp în Berceni
180.000 €
București, Berceni
4 camere
135 mp
338 mp teren
Casă individuală cu 4 camere cu Teren 420 Mp în Berceni
175.000 €
București, Berceni
4 camere
150 mp
420 mp teren

Abonează-te la newsletter să fii primul care primește cele mai noi recomandări de proprietăți și sfaturi de la experți.