Vila P+1E+M - direct proprietar

€ 194.850

1 Mai, Piatra-Neamţ

Nr. camere:
8
Suprafață utilă:
254 mp
Suprafață teren:
400 mp
Nr. niveluri:
1

Descriere

Raportează anunț

Vila P+1E+M - direct proprietar

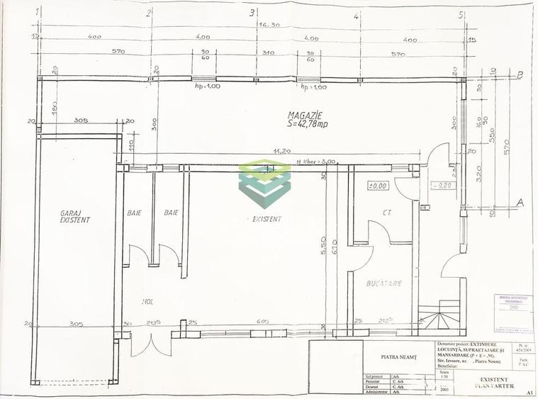
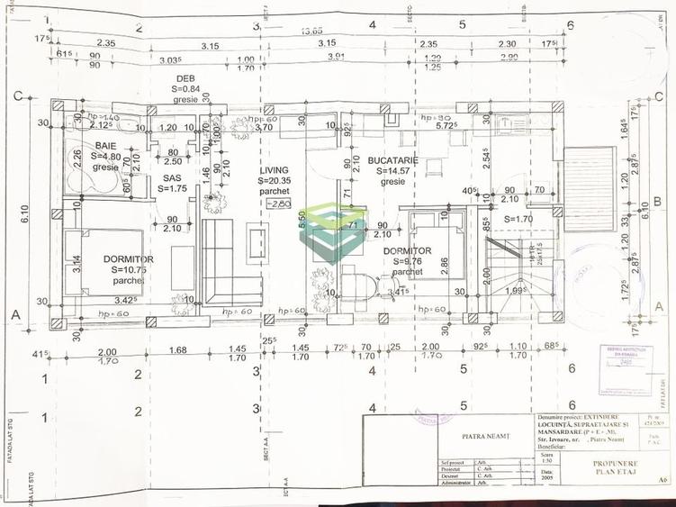
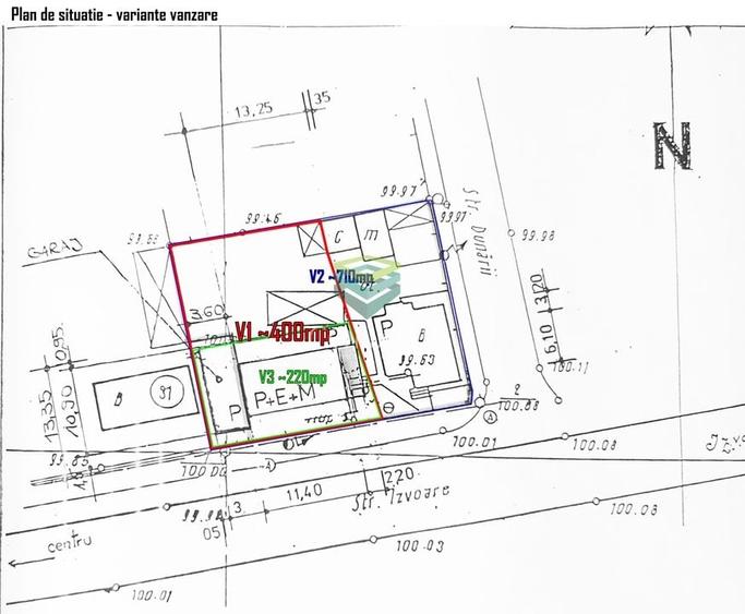
Vand vila P+1E+M plus teren in suprafata de aproximativ 400mp (v1 - contur rosu din schita), cu posibila extindere pana la aproximativ 710mp (v2 - contur albastru din schita). Proprietatea este localizata pe strada recent reabilitata cu trotuare largi si rigole ape pluviale, cu statie de autobuz foarte aproape si are o deschidere de ~18m la aceasta. Poate fi mai lunga si poate avea si o a doua deschidere la strada secundara, asfaltata, in cazul achizitiei integrale (impreuna cu casa alaturata plus terenul aferent). Imobilul se preteaza excelent atat pentru locuit cat si pentru o mica afacere de familie: pensiune, spatiu comercial, birouri, productie non-poluanta, etc. Utilitati: apa, canal, curent, gaze, internet si cablu tv pe fibra optica. Incalzire cu centrala termica pe gaz + panou solar pt apa calda. Parterul este renovat in mare parte (2022-2023), tabla noua pe acoperis (2022), fatada noua (2023). Pretul de vanzare pentru achizitia in varianta 1 este de 195.000 euro - negociabil. In varianta achizitiei integrale (v2 - 710mp) pe diferenta de teren sunt contruite: o casa din caramida (doua camere + bucatarie + baie), o anexa gospodareasca (bucatarie de vara cu gaze trase) si o magazie cu beci - Pretul se va negocia pentru aceasta varianta. Direct proprietar.
Citește mai mult Citește mai puțin
ID anunț: 472010 Actualizat în: 25 Noiembrie 2025
Nr. camere: 8
Suprafață utilă: 254 mp
Suprafață utilă totală: 254 mp
Nr. băi: 3
Suprafață teren: 400 mp
Front stradal: 18 m
An construcție: 2005
Regim înălțime: P+1E

Istoric preț

Utilități

Utilități
Apă Canalizare Curent Gaze Aragaz / Plită Frigider TV
Facilități
Mobilat Curte Balcon

Proprietăți similare

Casă individuală cu 7 camere cu Canalizare în 1 Mai
€ 195.000
Piatra-Neamț, 1 Mai
7 camere
181,22 mp
240 mp teren
Casă individuală cu 4 camere cu Teren 350 Mp în 1 Mai
€ 210.000
Piatra-Neamț, 1 Mai
4 camere
213,46 mp
350 mp teren
Casă individuală cu 4 camere cu Canalizare în 1 Mai
€ 199.000
Piatra-Neamț, 1 Mai
4 camere
200 mp
662 mp teren
Casă individuală cu 7 camere cu Garaj în Exterior Vest
€ 189.000
Piatra-Neamț, Exterior Vest
7 camere
230 mp
616 mp teren
Casă individuală cu 5 camere cu Teren 660 Mp în Periferie
€ 195.000
Piatra-Neamț, Periferie
5 camere
223 mp
660 mp teren
Casă individuală cu 5 camere cu Teren 340 Mp în Vest
€ 200.000
Piatra-Neamț, Vest
5 camere
290 mp
340 mp teren
Casă individuală cu 7 camere cu Teren 1066 Mp în Periferie
€ 210.000
Piatra-Neamț, Periferie
7 camere
280 mp
1.066 mp teren
Casă individuală cu 4 camere cu Garaj în Tașca
€ 179.000
Județul Neamț, Tașca
4 camere
190 mp
1.765 mp teren
Casă individuală cu 6 camere cu Canalizare în Alexandru cel Bun
€ 189.900
Județul Neamț, Alexandru cel Bun
6 camere
280 mp
576 mp teren

Abonează-te la newsletter să fii primul care primește cele mai noi recomandări de proprietăți și sfaturi de la experți.