Casa si depozit Poiana Varbilau, ID: 18994

78.595 €

Poiana, Judeţul Prahova

Nr. camere:
4
Suprafață utilă:
577 mp

Descriere casă

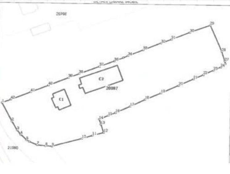
Se vinde prin licitatie publica casa, depozit, anexa si teren Poiana Varbilau, Tarla 36, Parcela 257, judetul Prahova Teren intravilan in suprafata de 6.154 mp conform acte de proprietate si 6.112 mp conform masuratori cadastrale, forma neregulata, deschidere de circa 45 m pe latura de vest la drum public, asfaltat. 2 constructii tip P si P+E+beci cu o suprafata construit desfasurata totala de 639,1 mp. Suprafata utila C1 - 253,75 mp Suprafata utila C2 - 324 mp Suprafata totala utila 577,75 mp Zona din imediata vecinatate are un caracter predominant rural, definit prin unitati locative de tip case/gospodarii rurale si largi suprafete vacante de teren situate atat de o parte si de alta a drumului judetean 102 cat si in planurile secundare ale arterelor principale ale zonei. Nu am avut la dispozitie relevee sau alte documente care sa indice suprafata utila a corpului C2, respectiv suprafata construit desfasurata a constructiei C1, acestea fiind estimate de catre evaluator prin aplicarea unui coeficient de translatie la suprafata desfasurata, respectiv la cea util totala, in raport cu solutia constructiva a fiecaruia. Proprietatea este amplasata pe partea dreapta a DJ102, in plan secundar fata de acesta dar cu vizibilitate foarte buna, in directia de mers catre localitatea Poiana Varbilau. Acccesul la proprietate se realizeaza printr-o ramificatie din Dj102 prin intermediul unui drum public, asfaltat ce traverseaza calea ferata. Zona de amplasament dispune de retele de electricitate si apa curenta. C1 Ferma pentru cresterea si intretinerea famililor de albine Regim inaltime: P+E+beci Data PIF: conform informatii furnizate contructia C1 in forma sa actuala a fost realizata si receptionata in anul 2006 Destinatie: spatiu administrativ si zona vestiare, laborator, depozite, grupuri sanitare si spatii tehnice Constructia prevede: hol intrare cu scara acces spre vestiare a personalului, vestiar, cabine WC, dus, sala extractie mierre si reparatii material apicol, laborator pentru transvazare oua/larve matci, depozit material apicol, spatiu centrala termica, scara acces, birou, hol cu casa scarii, alt birou, 2 depozite materiale apicole, grup sanitar, 2 balcoane. Solutie constructiva: fundatii si stalpi din beton armat, inchideri tip zidarie parter, respectiv structura de lemn la etaj si acoperis de tip sarpanta lemn prevazuta cu tigla ceramica. Tamplaria este realizata din lemn si geamuri simple. Constructia este prevazuta cu tencuieli si finisaje exterioare. C2 Atelier mecanic Regim inaltime: P Data PIF: conform informatii furnizate contructia C2 in forma sa actuala a fost autorizta in 2007 si receptionata in anul 2015 (Proces verbal de receptie la terminarea lucrarilor nr.12/16.12.2015 Destinatie: spatiu industrial Solutie constructiva (strict pe observatiile limitate de la data inspectiei): fundatii din beton armat, structura metalica cu inchideri realizate din tabla zincata si acoperis prevazut cu invelitoare din tabla. Tamplaria exterioara este realizata din profile PVC si geamuri termoeficiente (identificate la fatada principala si cea de nord). Finisaje presupuse medii, specifice destinatiei si in concordanta cu cele prevazute in proiectul de autorizare. Intalatii: electrice
Citește mai mult Citește mai puțin
Zonă rurală

Detalii casă

ID anunț: 3476375 Actualizat în: 02 Aprilie 2026
Nr. camere: 4
Suprafață utilă: 577 mp
Suprafață utilă totală: 577 mp

Istoric preț

Puncte de interes

Mijloace transport
transport
Cotofenesti
Mijloace transport aprox. 1918 m

Proprietăți similare

Casă cu 4 camere cu Teren 750 Mp în Poiana
80.000 €
Județul Prahova, Poiana
4 camere
124 mp
750 mp teren
Casă cu 5 camere în Poiana
75.000 €
Județul Prahova, Poiana
5 camere
1.881 mp
Casă cu 4 camere în Poiana
80.000 €
Județul Prahova, Poiana
4 camere
Casă cu 3 camere cu Canalizare în Satu Nou
79.900 €
Județul Prahova, Azuga
3 camere
71 mp
214 mp teren
Casă cu 3 camere cu Teren 127 Mp în Puchenii Mari
71.000 €
Județul Prahova, Puchenii Mari
3 camere
127 mp
127 mp teren
Casă cu 6 camere cu Teren 3050 Mp în Mănești
84.000 €
Județul Prahova, Mănești
6 camere
394 mp
3.050 mp teren
Casă cu Teren 750 Mp în Cocorăștii Caplii
79.900 €
Județul Prahova, Cocorăștii Caplii
120 mp
750 mp teren
Casă cu 3 camere în Drajna
75.000 €
Județul Prahova, Drajna
3 camere
140 mp
Casă cu 6 camere cu Teren 1300 Mp în Seciu
80.000 €
Județul Prahova, Seciu
6 camere
110 mp
1.300 mp teren

Abonează-te la newsletter să fii primul care primește cele mai noi recomandări de proprietăți și sfaturi de la experți.