Casa + teren mare in Ghirdoveni, la ?oseaua principala

61.000 €

Ghirdoveni, Judeţul Dâmboviţa

Suprafață utilă:
134 mp
Suprafață teren:
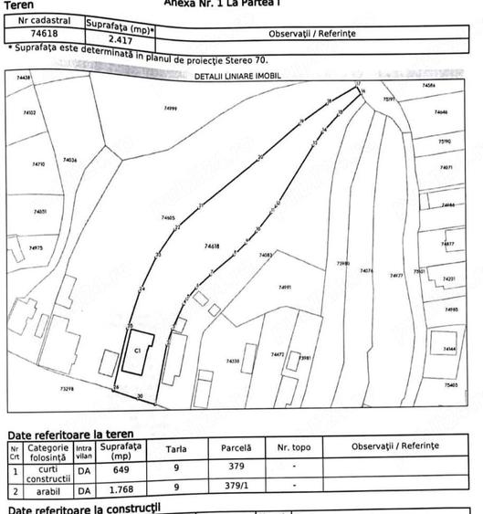
2.417 mp

Descriere casă

Se vinde o proprietate de 2417 mp situata in localitatea Ghirdoveni (jud. Dambovi?a) formata din: 1. Casa de locuit cu o suprafa?a de 134 mp, construita din caramida, compartimentata dupa cum urmeaza: - hol mare in forma de L, pe toata suprafa?a construc?iei, cu ie?ire din fiecare camera - living mare, in partea de la strada, cu ie?ire catre o veranda mare - 3 dormitoare, dintre care 2 cu u?a intre ele, in afara de u?ile care dau spre hol - camera speciala pentru amenajarea unei bai moderne - bucatarie cu doua ie?iri, pe hol ?i afara - veranda mica, cu ie?ire din bucatarie - camara mare, ata?ata bucatariei - doua debarale spa?ii de depozitare La casa s-au efectuat anumite lucrari de renovare in 2025 detaliate mai jos: - recondi?ionare revopsire acoperi? integral - recondi?ionare revopsire gard la strada principala - renovare interioare ?i cura?enie generala - cura?at par?ial vegeta?ia crescuta in partea din spate Utilita?i: curent in toata casa, pu? in curte. Apa ?i gaze la poarta. Casa are ?i doua sobe mari de teracota. Total cur?i ?i construc?ii: 649 mp. 2. Teren arabil intravilan. Conform planului cadastral, in partea din spate a casei se afla o gradina mare, in suprafa?a de 1768 mp cu ie?ire spre drumul din spate. Practic, se mai poate construi o casa in spate. Alte detalii: Pe toata suprafa?a proprieta?ii se poate construi, terenul fiind intravilan. Tot terenul este imprejmuit cu gard din ?evi tubing si gard impletit. Deschiderea la strada principala este de 18 metri. Din fata casei pana in centrul ora?ului Moreni sunt fix 4,4 km. ?coli, magazine, spital in zona. Ora?e mari apropiate: Targovi?te la 27 km, Ploie?ti la 30 km, Bucure?ti la 80 km. Mai multe detalii la telefon. La cerere, pot trimite mai multe fotografii in privat. Telefon: Pre?: 61.000 euro negociabil. Mul?umesc! ID anun? : 1774694704
Citește mai mult Citește mai puțin

Detalii casă

ID anunț: 3995020 Actualizat în: 28 Martie 2026
Suprafață utilă: 134 mp
Suprafață utilă totală: 134 mp
Suprafață teren: 2.417 mp
An construcție: 1974

Istoric preț

Proprietăți similare

Casă cu Teren 1120 Mp în Potlogi
60.000 €
Județul Dâmbovița, Potlogi
60 mp
1.120 mp teren
Casă cu 4 camere în Central
61.000 €
Județul Dâmbovița, Moreni
4 camere
134 mp
Casă cu 4 camere cu Teren 810 Mp în Central
55.000 €
Târgoviște, Central
4 camere
145 mp
810 mp teren
Casă cu 4 camere în Gemenea-Brătulești
65.000 €
Județul Dâmbovița, Gemenea-Brătulești
4 camere
194 mp
Casă cu 3 camere cu Teren 2240 Mp în Raciu
65.000 €
Județul Dâmbovița, Raciu
3 camere
90 mp
2.240 mp teren
Casă cu Teren 7281 Mp în Cornățelu
65.000 €
Județul Dâmbovița, Cornățelu
90 mp
7.281 mp teren
Casă cu 4 camere în Central
60.000 €
Județul Dâmbovița, Pucioasa
4 camere
70 mp
Casă cu 3 camere cu Teren 1159 Mp în Central
59.000 €
Târgoviște, Central
3 camere
90 mp
1.159 mp teren
Casă cu 5 camere cu Teren 5585 Mp în Central
59.900 €
Județul Dâmbovița, Găești
5 camere
150 mp
5.585 mp teren

Abonează-te la newsletter să fii primul care primește cele mai noi recomandări de proprietăți și sfaturi de la experți.