
7 luni în urmă
1
- Agenție
Km 5 - Vila de Lux
375.000 €
Km 5, Constanța
Descriere
Raportează anunț
Sesizează o problemă
Km 5 - Vila de Lux
Km 5 - Vila de Lux
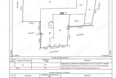
Cod Agent ( C11 ) Descopera o oportunitate unica in zona Km 5 - o vila de lux cu un design impresionant, dispusa pe S+P+1+M, cu o suprafa?a desfa?urata de 453.62 mp ?i o suprafa?a utila de 362.8 mp, amplasata pe un teren generos de 500 mp. Aceasta proprietate excep?ionala ofera un stil de via?a rafinat ?i confortabil, intr-o zona linistita ?i exclusivista. Caracteristici de remarcat: - Constructie solida din BCA, cu structura din beton, izola?ie termica din polistiren ?i acoperi? din ?igla, garantand confort ?i durabilitate - Dotata cu toate utilita?ile necesare: gaze naturale, apa ?i canalizare, curent electric - Compartimentare inteligenta pe demisol, parter, etaj ?i mansarda, oferind spa?ii generoase ?i func?ionale pentru toata familia - Dotari de lux, inclusiv aer condi?ionat, centrala termica, cablu TV ?i internet, geamuri termopan, pentru un confort optim in fiecare sezon. Pret 375.000 euro negociabil. Pentru a programa o vizionare sau pentru mai multe informa?ii, te rugam sa contactezi agentul nostru folosind codul C11 la numarul de telefon: Contacteaza. Echipa DANICRIS este dedicata sa te asiste cu profesionalism ?i experien?a in fiecare pas al procesului de achizi?ie imobiliara. Suntem aici pentru tine, pregati?i sa raspundem la orice intrebare ?i sa te ajutam sa i?i gase?ti noul camin perfect. Mul?umim pentru interesul acordat ?i a?teptam cu nerabdare sa te ajutam sa i?i gase?ti noul camin. Cu stima, Echipa DANICRIS - Profesioni?ti in Real Estate ID anun?
Citește mai mult
Citește mai puțin
ID anunț: 1111153
Actualizat în: 01 Octombrie 2025
Nr. camere:
6
Suprafață utilă:
362 mp
Suprafață utilă totală:
362 mp
Suprafață teren:
500 mp
An construcție:
2018
Regim înălțime:
P+2E
Istoric preț
Utilități
Utilități
Apă
Gaze
Climă
Internet
Proprietăți similare
Abonează-te la newsletter să fii primul care primește cele mai noi recomandări de proprietăți și sfaturi de la experți.
Căutări similare
- Case de vânzare în Km 5
- Case de vânzare în Constanța
- Case de vânzare în Central
- Case de vânzare în Coiciu
- Case de vânzare în Kamsas
- Case de vânzare în Stadion
- Case de vânzare în Faleza Nord
- Case de vânzare în Km 4-5
- Case de vânzare în Tomis II
- Case de vânzare în Brătianu
- Case de vânzare în Dacia
- Case de vânzare în Palas